Anophthalmus hitleri: razlika između inačica
m Bot: Automatska zamjena teksta (-{{Cite web +{{Citiranje weba) |
m Bot: Automatska zamjena teksta (-{{Commonscat(.*?)}} +) |
||
| Redak 36: | Redak 36: | ||
== Vanjske poveznice == | == Vanjske poveznice == | ||
{{Wikispecies|Anophthalmus hitleri}} | {{Wikispecies|Anophthalmus hitleri}} | ||
Inačica od 2. siječanj 2022. u 04:44
| Anophthalmus hitleri | |
|---|---|
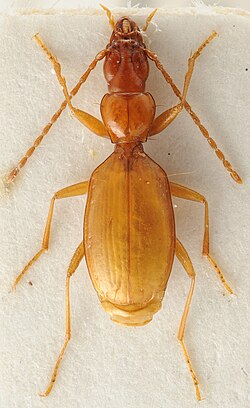
| Datoteka:Anophthalmus hitleri HabitusDors.jpg | |
| Sistematika | |
| Carstvo: | Animalia |
| Koljeno: | Arthropoda |
| Razred: | Insecta |
| Red: | Coleoptera |
| Porodica: | Carabidae |
| Potporodica: | Trechinae |
| Rod: | Anophthalmus |
| Vrsta: | A. hitleri |
| Dvojno ime | |
| Anophthalmus hitleri Scheibel, 1937. | |
| Sinonimi | |
| Haplotrechus hitleri | |
Anophthalmus hitleri (slovenski: Hitlerjev brezokec) endemična je vrsta špiljskoga kornjaša koja je prisutna u samo pet vlažnih špilja u Sloveniji. Pripada rodu Anophthalmus s još 41 vrsta i 95 podvrsta.[1] Članove podvrste Trechinae i roda Carabidae, kojima pripada ova vrsta, su predatori, stoga se smatra da su odrasle jedinke i ličinke ove vrste predatori te da se hrane manjima stanovnicima špilja.
Ime
Znanstveno ime ovoj vrsti, Anophthalmus hitleri, dao je austrijski inženjer i amaterski entomolog Oskar Scheibel 1937. godine. Njemu je prodan primjerak ove vrste 1933. godine kada još nije bila opisana. Scheibel je imenovao vrstu u čast Adolfa Hitlera. Ime roda kojem ova vrsta pripada, Anophthalmus, znači bez očiju, odakle dolazi slovenski naziv Hitlerjev brezokec. Hitler je doznao za imenovanje ove vrste te je Scheibelu poslao pismo u kojem mu se zahvaljuje.[1] Unatoč snažnim političkim asocijacijama, prema taksonomskoj tradiciji dvoimena nazivlja ne bi se smjela mijenjati, osim zbog vjerskih naziva, koja su također obeshrabrena.[1]
Ova vrsta ne posjeduje nikakve značajne razlikovne karakteristike, poput neobičnih boja ili ticala, a jedino pruža interes skupljačima nacističkih uspomena i kornjaša zbog znanstvenog imena vrste.[2][3] Zbog toga ovoj vrsti prijeti izumiranje.[4]
Nakon Drugoga svjetskoga rata, Međunarodna komisija za zoološku nomenklaturu (engleski: International Commission on Zoological Nomenclature) odbila je preimenovati vrstu. Pošto je znanstveno ime ove vrste već registrirano, danas je nemoguće promijeniti ime ove vrste, osim ako je prekršila neko pravilo prilikom njene prvobitne registracije u sustav.[5]
Izvori
- ↑ 1,0 1,1 1,2 • Nepoznat parametar:
authorlink
• Parametaraccessdatenije dopušten u klasiweb - ↑ Entomologische Blätter 33: 438
- ↑ • Nepoznat parametar:
authorlink
• Nepoznat parametar:issue
• Parametaraccess-datenije dopušten u klasijournal
• Parametararchive-datenije dopušten u klasijournal
• Parametarurl-statusnije dopušten u klasijournal
• Parametarurlnije dopušten u klasijournal
• Parametartypenije dopušten u klasijournal
• Parametararchive-urlnije dopušten u klasijournal - ↑ • Parametar
typenije dopušten u klasinews
• Parametaraccess-datenije dopušten u klasinews
• Parametardatenije dopušten u klasinews
• Parametarauthornije dopušten u klasinews
• Parametararchive-datenije dopušten u klasinews
• Parametarurl-statusnije dopušten u klasinews
• Parametarnewspapernije dopušten u klasinews
• Parametarlastnije dopušten u klasinews
• Parametarfirstnije dopušten u klasinews
• Parametarurlnije dopušten u klasinews
• Parametararchive-urlnije dopušten u klasinews
• Parametartitlenije dopušten u klasinews - ↑ Weird Animal Names: Hitler's Beetle. Pristupljeno 20 April 2020.
